Estetik doğal olandır . . .
Lazerle 3D ve 4D yüz yenileme- germe
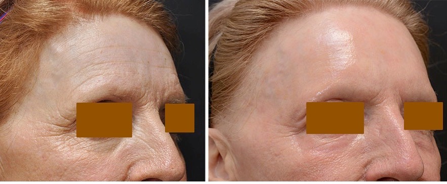
Yüzde yenilenme ve canlanma sağlayan bir lazer uygulamasıdır. Bu lazer cihazında iki farklı lazer kaynağı (Er-YAG ve ND-YAG) bulunmaktadır. Bu farklı lazerleri kullanarak yüzeyden derine doğru yüz dokuları tazelenmekte ve uyarılarak daha dinamik bir görüntüye kavuşturulmaktadır. Lazerle üç ve dört boyutlu yüz yenileme tedavisi doğal görünümlü, uzun süreli sonuçlar veren, cerrahi olmayan,girişimsel olmayan bir yüz germe alternatifi sunar.


Neye yarar?
1) Yüz ve boyun cildinde sıkılaşma ve hacimlenme (hücre artışı)
2) Deriden ağız içi mukozasına kadar yenilenme ve uyarılma
3) Ciltte parlama ve ışıltı
4) Cildin renk ahengine katkı (cilt mikrobrazyonu)
5) Ciltteki küçük çıkıntı-leke ve kılları yok eder.
Bu işlem günübirliktir, yaşama engel olmaz. Cilde herhangi bir cerrahi veya girişimsel işlem yoktur


Her iki lazer tipi aynı seansta, üç veya dört farklı basamakta kullanılarak yüz derisinde soyma (lazerbrazyon), sıkılaştırma- lifting, hücre ve kollajen uyarılması-yenilenmesi şeklinde etkilerle yüz yenilemede kullanılmaktadır. Burada ağız içi mukozasının sıkılaştırılması da de sağlanarak tedaviye 4. boyut eklenmiş ve yanak cildinin hem dıştan hem de içten sıkılaşma ve yenilenmesi sağlanmıştır. Bu uygulamada yüzeyel küçük skarlar, yağ kistleri, lekelenmeler, kırışıklıklar ve benler de yok olmaktadır
Hizmetler
İzmir merkezde estetik ve plastik cerrahi operasyonları ile kozmetik uygulamalar (medikal estetik) alanında hizmetler verilmektedir
İletişim
Hakkında
atabey58@gmail.com
+90 530 022 0721
© 2025. A.Atabey tarafından yapay zeka destekli oluşturulmuştur. Tüm hakları saklıdır.
YERLEŞİM:
ESTETİA ESTETİK ve PLASTİK CERRAHİ
Cumhuriyet Bulvarı 127 / 5 Çifçi ap. Alsancak 35220 Konak İzmir (İkinci kordon- Cumhuriyet Meydanı civarı)
atabey@estetiaestetik.com
